Phylum: Chordata 脊索動物門
Class: Actinopterygii 輻鰭魚綱
Family: Lutjanidae 笛鯛科
Scientific name: Lutjanus kasmira
Chinese name: 四線笛鯛
Author: (Forsskål, 1775)
Max. Size: 40 cm
Common name: Yellow and blue seaperch; Blue-striped seaperch
俗名: 四線赤筆、條魚、四線、赤筆仔
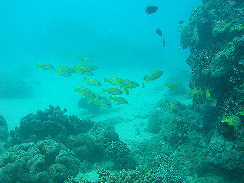
形態特徵: 體鮮黃色,腹部微紅;體側具4條藍色縱帶,且在第三至第四藍帶間具一不明顯之黑點;腹面有小藍點排列而成的細縱帶。各鰭黃色,背鰭與尾鰭具黑緣。本種極易與孟加拉笛鯛 (L. bengalensis) 混淆,主要差別在於後者腹部無藍色細縱帶、背鰭硬棘數為XI 及背鰭與尾鰭無黑緣。主要棲息於沿岸礁區、潟湖區或獨立礁區,棲息深度在3 -150公尺處。白天常可見大群體於珊瑚結構的礁區、洞穴或殘骸周遭水域活動;稚魚則棲息於海草床周圍的片礁區。主要以底棲的魚、蝦、螃蟹、甲殼類之口足目、軟體動物之頭足類以及浮游性之甲殼動物等為食;也吃多種的藻類。
資料來自:台灣魚類資料庫
攝影日期: 2010/03/27
攝影地點: Kenting, S. Taiwan .



沒有留言:
張貼留言